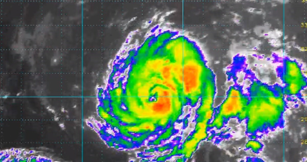
URAGAN Ophelia ojačao je kod Azorskog otočja i očekuje se da će kasnije tijekom dana proći južno od tog arhipelaga.